Seite 47 von 75
Re: kraut_ruebe 3.0 – dirty girls minifarm
Verfasst: Di 4. Aug 2015, 14:44
von kraut_ruebe
wie süss, der (ehemals) kleine hat nen namen, und dann noch meinen
schönen urlaub!
Re: kraut_ruebe 3.0 – dirty girls minifarm
Verfasst: Mi 5. Aug 2015, 14:30
von kraut_ruebe
wir haben hier inzwischen den dritten monat hochsommer.
der alant schickt wie im september seine letzten blüten ins rennen:

- alant.jpg (98.69 KiB) 2648 mal betrachtet
der erste weinstock denkt ans fertigwerden und beginnt die blätter zu färben:

- trauben.jpg (59.09 KiB) 2648 mal betrachtet
Re: kraut_ruebe 3.0 – dirty girls minifarm
Verfasst: Mo 10. Aug 2015, 18:48
von kraut_ruebe
meine kleine wildnis
ganz oben am gundstück ist das einzige stück land auf dem bewuchs war als ich es bekommen hab. dadurch das alles andere ja einfach nur schrecklich nackig war, mag ich diese wenigen tausend qm besonders gern.
hier darf wachsen was will und ich mähe da auch nicht (ausser ein kleines randstückerl im norden wo die strasse den berg raufführt und man hinsieht, zwecks dorfbild, mähpflicht und so). irgendwann, wenn ich mal zeit hab, schneid ich von den fichtenreihen links und rechts mal ein paar reihen weg damit das wiesenstück grösser wird:

- lichtung.jpg (82.45 KiB) 2572 mal betrachtet
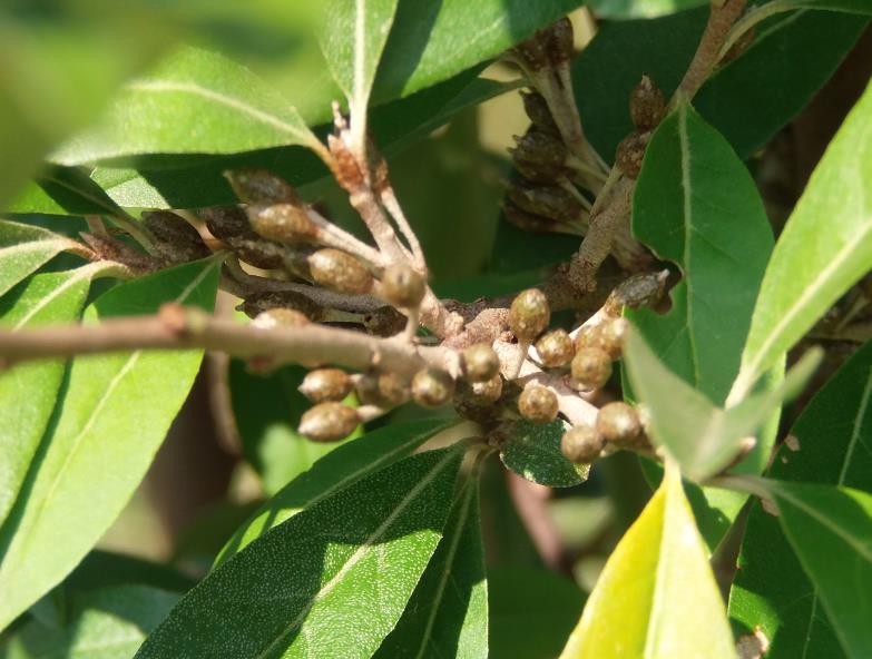
dort hab ich schon allerlei interessante kräuter und gewächse gefunden. ein fuchs wohnt da, die rehe lungern da rum und kleingetier gibts in massen. auch gallwespen:

- gallwespenkugerl.jpg (55.73 KiB) 2572 mal betrachtet
Re: kraut_ruebe 3.0 – dirty girls minifarm
Verfasst: Mo 10. Aug 2015, 19:00
von Benutzer 3991 gelöscht
Machst du was mit den Gallkugeln? Die sollen ja sehr vielseitig verwendbar sein.
Ich bohr ihnen mit der Bohrmaschine ein Loch und klebe sie auf die dürren Knöterichgstenken, für die Bodenvase.
Jö, was isn das für eine Pflanze, noch nie gesehen...

Re: kraut_ruebe 3.0 – dirty girls minifarm
Verfasst: Mo 10. Aug 2015, 19:14
von Akopalüze
Ich hab schon mehrmals Galläpfel gesucht, aber leider nie welche gefunden. Ich wollte da Tinte draus machen.
Re: kraut_ruebe 3.0 – dirty girls minifarm
Verfasst: Mo 10. Aug 2015, 19:18
von Benutzer 3991 gelöscht
Hier gibts einen Baum im Wald, wo jedes Jahr schätzomative 50 Stk. drunter liegen. Ist aber nur der eine Baum, sonst findet man ab und zu eine. Kannst gern welche haben - kein Mangel hier.
Re: kraut_ruebe 3.0 – dirty girls minifarm
Verfasst: Mo 10. Aug 2015, 19:45
von Akopalüze
Danke für das Angebot.

Ich gehe erst selbst nochmal suchen, komme aber vielleicht darauf zurück.
Ich hab sonst immer im Herbst gesucht, vielleicht sind die jetzt besser zu finden.
Re: kraut_ruebe 3.0 – dirty girls minifarm
Verfasst: Mo 10. Aug 2015, 19:45
von kraut_ruebe
bislang seh ich den kugerln eigentlich nur zu, es gibt ein paar davon.
über tinte hab ich mal gelesen, vielleicht versuch ich mich da mal dran. irgendwann wird der aufbauarbeitsdruck hier ja nachlassen, da bleibt dann hoffentlich zeit für solche spiele

Re: kraut_ruebe 3.0 – dirty girls minifarm
Verfasst: So 16. Aug 2015, 18:23
von kraut_ruebe
die ersten kidneybohnen sind durchgetrocknet und geerntet.
scheint nicht überall so einfach zu sein, aber bei mir haben sich die als unkompliziert erwiesen. mitte mai hab ich die gesteckt und dann nix mehr gemacht damit. jetzt sind sie fertig:

- kidneys.jpg (64.05 KiB) 3597 mal betrachtet
Re: kraut_ruebe 3.0 – dirty girls minifarm
Verfasst: Mi 26. Aug 2015, 15:18
von kraut_ruebe
die ölweiden machen sich schön lansgam, inzwischen merkt man endlich ein bisschen was davon, dass die jahre ins land ziehen.
die beerenfrüchtigen ölweiden (e. multiflora) sind heuer voll mit früchten. vielleicht werdens sogar genug um die ölpresse anzuwerfen:

- ölweidenbeeren.jpg (70.46 KiB) 3512 mal betrachtet
die russische olive (schmalblättrige ölweide) trägt heuer zum ersten mal, und das gleich über und über voll. ob sie wirklich als olivenersatz taugen wird sich dann im spätherbst weisen:

- russische olive.jpg (61.41 KiB) 3512 mal betrachtet